abstract
Insurance Banking Solutions

Highly Accurate 3D LiDAR Digital Twin data facilitates Rural Insurance & Banking Solutions

Rural Insurance & Banking Solutions lack accurate data for pricing and risk management of rural solutions such as Farmer Loans & Crop Insurance. Use the power of 3D Mapping using LiDAR to create accurate 3D maps with required data in short times.

abstract
Banking & Insurance Solutions
Farmer Loans Solution
Farmer Loans Solution
Geo-referenced Cadastral Maps for Loan Collateral
Estimation
High density Point Cloud
5 cm Orthophotos
50 cm Terrain Maps
Property Cards
Success Stories
  • Pilot Project in Andhra Pradesh and Telangana
Crop Insurance Solution
5 cm Orthophotos for detailed Crop Quality Information
Multi-Spectral Data for additional information
50 cm Terrain Maps
Geo-referenced Cadastral Maps
Property Cards
Crop Insurance Solution
Flood Insurance Solutions
Flood Insurance Solutions
Flood Maps with Historical flooding information
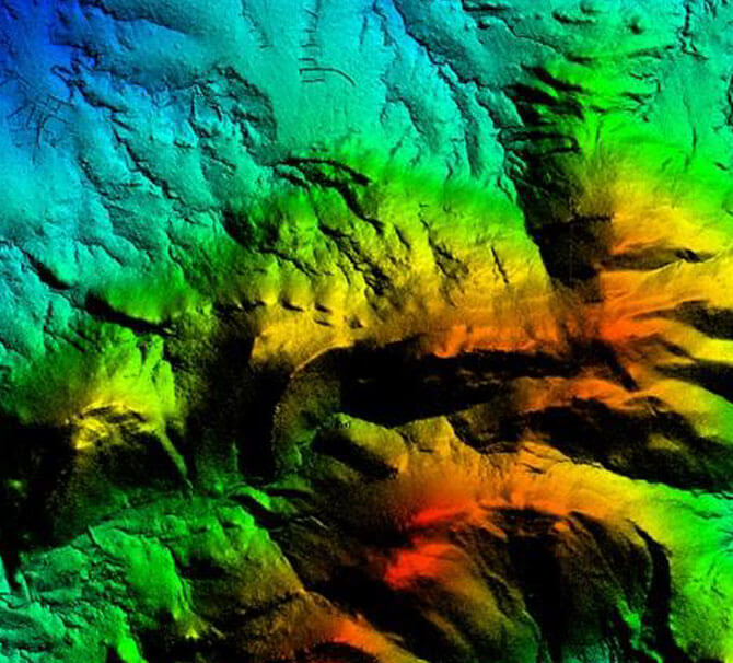
50 cm Digital Elevation Model
50 cm contour
Drainage Map
Risk GIS ready data
Our Technology & Solution
Aerial LiDAR Mapping
Mobile LiDAR Mapping
UAV LiDAR Mapping
Terrestrial LIDAR
Flood Management
Aiport I
Solar Rooftop Calculator